Las autoridades de Protección Civil además advierten la llegada de “fuertes rachas de viento en la línea de costa, oleaje elevado y marejadas ciclónicas, se espera se desarrolle bancos de niebla muy densa en zonas serranas que reducirán la visibilidad horizontal”.
Mientras que las temperaturas presentarán un refrescamiento importante, debido al incremento del techo nuboso y lluvias durante la mayor parte del día.
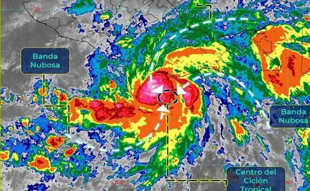
La CEPCO también señaló que prevén olas de 6 y hasta 8 metros de altura en comunidades de la Costa de Oaxaca, desde Pinotepa Nacional hasta San Mateo del Mar, así como “aumento en los niveles de ríos y arroyos de respuesta rápida y lenta, deslizamiento de laderas en zonas de alta pendiente e inundaciones repentinas en partes bajas y urbanas”.
Ante ello, las autoridades exhortan a la población a tomar sus precauciones, mantenerse informado por fuentes oficiales y atender las recomendaciones de Protección Civil.
• Localiza los lugares altos y las rutas por donde puedas llegar a los refugios temporales.
• Infórmate a través de los medios de comunicación, de los avisos y/o pronósticos de lluvias.
• Obedece las recomendaciones de las unidades de Protección Civil.
• No invadas las zonas cercanas a los ríos.
• Evita cruzar puentes cuando el nivel del río lo alcance.
• Si habitas en cañadas o laderas muy inclinadas, evita acercarte al río, ya que éste puede arrastrar piedras, lodo, troncos de árboles y otros escombros.
• Práctica con tiempo una evacuación pronta, hacia la zona más segura, alta y cercana.
• Evita caminar en zonas inundadas, porque el agua puede arrastrar hasta vehículos.
• Evita cruzar cualquier río en vehículo o caminando, y mantente lejos de la corriente, ya que podrías ser arrastrado.
Más información

Estatal
Trabajadores del ISSSTE Oaxaca acusan a Subdelegada de Prestaciones de acoso laboral y prepotencia

Estatal
Lanzan campaña en Oaxaca para difundir el mes del trámite gratuito de reconocimiento de identidad de género

Estatal
Refuerzan seguridad en la zona arqueológica de Monte Albán, Oaxaca, tras ataque armado en Teotihuacán

Estatal
"Estamos viviendo en la miseria": Familias desplazadas se plantan en palacio de gobierno de Oaxaca

























